Lebensraum für Amphibien

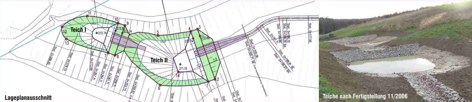
Im Rahmen des LBP zum Bau der S 289 Ortsumgehung Crimmitschau wurden landschaftspflegerische Maßnahmen festgeschrieben, um die Eingriffe in Natur und Landschaft zu kompensieren. Auf dem Flurstück 47/1 der Gemarkung Mark Sahnau befindet sich die externe Ersatzmaßnahme E 1. Der Standort ist ein ausgesprochener Lebensraum für Amphibien und von der Biotopstruktur her als potenzieller Lebensraum für Niederwild geeignet. Diese Standortsituation wird aufgenommen und mit der Maßnahme E 1 strukturell im Sinne des Artenschutzes gefördert und der Biotopverbund entsprechend entwickelt. Bei der Maßnahme E 1 handelt es sich um die Anlage von zwei Teichen (Flächen rd. 150 u. 400 m²) durch Dammeinbau in einer vorhandenen Geländesenke, die Öffnung des verrohrten Wiesenbaches (ca. 200 m) inklusive Herstellung eines Durchlasses (ca. 8 m) im Bereich einer vorhandenen Wegüberfahrt sowie die Anlage von Feldhecken.

Disciplines

  • Environment & Sustainability

Companies

Dorsch Engineers GmbH

Client

Straßenbauamt Zwickau

Duration

From 2005 to 2007

Location

Zwickau , Germany

Project Activities

Antrag auf wasserrechtliche Genehmigung und Erlaubnis inkl. hydraul. Bemessungen

Planungsleistungen:
LPH 2-3, 5-6, 8-9 nach § 15 HOAI

Örtliche Bauüberwachung nach § 57 HOAI

Contact

Companies

Project Images